документация о планировке территории

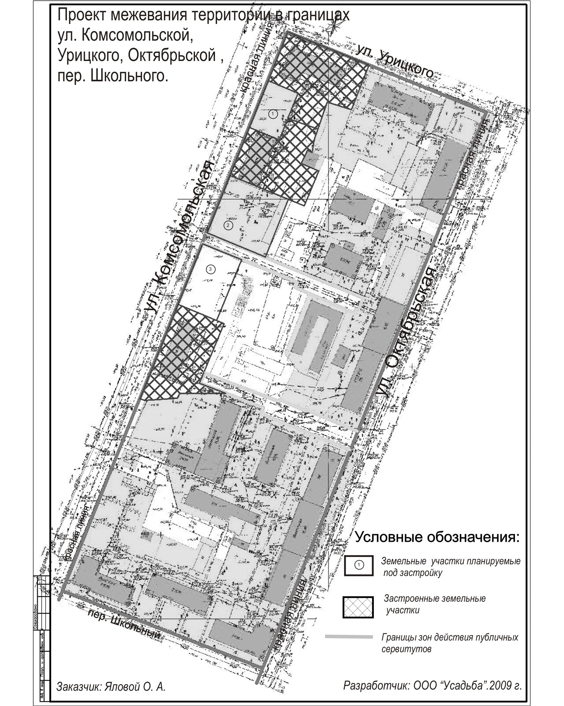
Проект межевания территории в границах улиц Комсомольской, Урицкого, Октябрьской

Постановления:
Постановление о подготовке проекта межевания post-pod.doc (23 КБ)
Постановление о проведении публичных слушаний post-sl.07.2009.doc (22.5 КБ)
Постановление об утверждении проекта
межевания территории post-ytv.doc (123.5 КБ)

Заключение
о результатах публичных слушаний по проекту межевания территории zakl..doc (22.5 КБ)

Чертеж proekt.jpg (1.01 МБ)

Проект планировки центральной части микрорайона № 1А в северной части города Рубцовска

Проект планировки центральной части микрорайона № 1А
в северной части города Рубцовска

Постанавление о проведении публичных слушаний 1apost-slush12.2008.doc (24.5 КБ)
Постановление о подготовке проекта планировки post-proekt.1a.doc (125.5 КБ)
Постановление об утверждении проектов планировки и
межевания территории post-utv_1a.doc (24 КБ)
Пояснительная записка 1a_poisnitel.doc (320 КБ)
Заключение zakl.doc (30 КБ)

План-схема кабельных ЛЭП el.jpg (948.76 КБ)

Вниманию жителей!

Проводятся публичные слушания с участием жителей и правообладателей недвижимости в пределах территориальной зоны Ц-8-6, ограниченной улицами Локомотивной, Комсомольской, переулком Улежникова и территорией ООО «Гортопсбыт», по проекту планировки и межевания застроенной территории, шифр 2010-27, разработанному ООО «Усадьба».
Обьявление nurg-message.doc (21 КБ)
Экспликации nurg-explication.doc (42 КБ)
План nurg-plan.jpg (468.35 КБ)
plan2_.jpg (1.13 МБ)

Об утверждении проекта планировки

Об утверждении проекта планировки и межевания застроенной территории в границах пр.Ленина, пер.Садового,
ул.Комсомольской, пер.Улежникова в городе Рубцовске

Постановление об утверждении проекта ruling_25.doc (124 КБ)
Застроенные земельные участки built-up.doc (78.5 КБ)
Незастроенные земельные участки unimproved_.doc (23.5 КБ)
Чертеж межевания территории survey_0.jpg (1.58 МБ)

Утверждение ob_utv.proekta_planirovki_0.doc (124 КБ)

Проводятся публичные слушания с участием жителей территориальных зон Ж-1-16 и Ц-1-5

Проводятся публичные слушания с участием жителей территориальных зон Ж-1-16 и Ц-1-5, расположенных в границах пр. Ленина, пер. Садового, ул. Комсомольской, пер. Улежникова, и правообладателей земельных участков в этих же границах, по проекту планировки и межевания застроенной террито-рии, шифр 1322-3-211-10, разработанному АКГУП ПИ "Алтайкоммунпроект".
Цель разработки проекта – установление границ застроенных и незастро-енных земельных участков.
Сообщение о начале слушаний и проект опубликованы в газете «Местное время» за 23.11.2010 №90. Слушания заканчиваются 22.12.2010.

Вниманию жителей!

Вниманию жителей!

Проводятся публичные слушания с участием жителей территориальных зон Ж-1-16 и Ц-1-5, расположенных в границах пр. Ленина, пер. Садового, ул. Комсомольской, пер. Улежникова, и правообладателей земельных участков в указанных границах, по проекту планировки и межевания застроенной территории, шифр 1322-3-211-10, разработанному АКГУП ПИ "Алтайкоммунпроект".

25mk.jpg (1.72 МБ)

message.doc (21 КБ)explication.doc (84 КБ)

Вниманию жителей!

Согласно постановлению администрации города от 25.02.2010 № 689 решено подготовить проект планировки и межевания застроенной территории в границах пр. Ленина, пер. Садового, ул. Комсомольской, пер. Улежникова.
Комитету администрации города Рубцовска по архитектуре и градостроительству поручено обеспечить подготовку и выдачу разработчику проекта необходимых исходных данных для проектирования.
В настоящее время проект рассмотрен на комиссии по вопросам землепользования и застройки территории города Рубцовска. По результатам рассмотрения проекта решено организовать проведение публичных слушаний.
post.10..doc (127 КБ)

О проведении публичных слушаний по проекту межевания территории в границах улиц Тракторной, Мира, Комсомольской...

О проведении публичных слушаний по проекту межевания территории в границах улиц Тракторной, Мира, Комсомольской и внутриквартального проезда с южной стороны указанного квартала в городе Рубцовске
postPP.doc (22.5 КБ)
post-utv.doc (126.5 КБ)
plan1.jpg (721.4 КБ)
plan2.jpg (967.42 КБ)

Утверждение post.utv_.pm_.doc (126.5 КБ)
Заключение zakl._presse__2.doc (21.5 КБ)

Подготовка проекта планировки зоны отдыха на правом берегу реки Алей в городе Рубцовске

ПОСТАНОВЛЕНИЕ №3170 от 09.08.2010
О подготовке проекта планировки зоны отдыха на правом берегу реки Алей в городе Рубцовске pos_nom3170_d09082010.doc (115 КБ)

Вниманию жителей!

Проводятся публичные слушания с участием жителей территориальной зоны Ж-1-9 в границах улиц Тракторной, Мира, Комсомольской и внутриквар-тального проезда с южной стороны указанного квартала и правообладателей земельных участков, имеющих земельные участки на данной территории.
План межевания
Текст сообшения text.doc (21 КБ)
Экспликация Explication.doc (24.5 КБ)

О проведении публичных слушаний по проекту межевания территории в границах улиц Тракторной, Мира, Комсомольской и внутриквартального проезда с южной стороны указанного квартала в городе Рубцовске

ПОСТАНОВЛЕНИЕ 28.05.2010 № 2092 Администрации города Рубцовска Алтайского края
О проведении публичных слушаний по проекту межевания территории в границах улиц Тракторной, Мира, Комсомольской и внутриквартального проезда с южной стороны указанного квартала в городе Рубцовске PostHearings.doc (22.5 КБ)

ПОСТАНОВЛЕНИЕ администрации города Рубцовска от 11.05.2010 № 1910

ПОСТАНОВЛЕНИЕ
от 11.05.2010 № 1910
О подготовке проекта планировки и межевания
застроенной территории в границах
улиц Локомотивной, Комсомольской,
переулков Улежникова и Деповского
postNurgaleev.doc (23.5 КБ)

RSS-материал